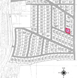
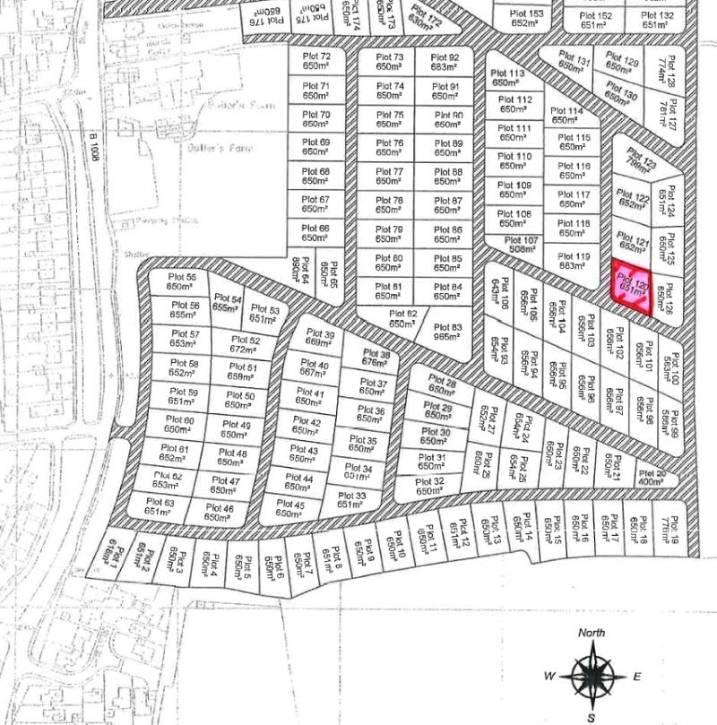
Lot 27 - Plot 120, Main Road, Broomfield, Chelmsford, Essex, CM1 7EN

  • Unconditional Online Auction Sale
  • Guide Price* : £8,000 plus
  • Bedrooms: 0

Plot of land

Description

A greenfield parcel of land situated within a larger site demarcated into a number of smaller plots. The plot is situated on the east side of the B1008, Main Road, north of the village of Broomfield. There are no utilities connected to the plot, nor any road or footpath access.

Other Information

Local Authority – Chelmsford City Council
NB.The plans shown are for reference purposes only and are not drawn to scale. Reproduction from the Ordnance Survey Mapping with the permission of the Controller of Her Majesty’s Office © Crown Copyright ES - 100048422.

Tenure

Freehold

Viewings

Direct to site

Additional Information

A contract administration charge of £1,500 (inclusive of Vat) is payable on exchange of contracts. Please note this fee is not part of the deposit or purchase price.

Please refer to the Special Conditions of Sale & General Conditions of Sale for details of any additional fees, costs or disbursements (if applicable), which will form part of the contract.

*Guide price definition

Guide prices are provided as an indication of the seller’s current minimum acceptable price at auction. They are not necessarily figures that a property will sell for, and may change at any time prior to the auction. The guide price may not be the minimum sale price, which can be higher or lower.

Reserve price definition

The reserve price is the minimum acceptable price under the hammer, which remains confidential, and may change at any time prior to the auction. Unless otherwise stated, each property will be sold subject to a reserve. The reserve is expected to be set no more than 10% above a fixed figure guide price, or within a guide price range.

Loading the bidding panel...

Vendor

AMG Ltd

Agreement Documents

Additional Documents

Share